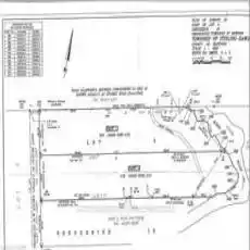
LOT 4 FUTURE Lane Stirling-Rawdon Ontario K0K 2M0
Property
Details
MLS ID:
X12665492
Price:
$199,900
Lot Depth:
N/A
Transaction Types:
For Sale
Ref ID:
X12665492
Year Built:
N/A
Dir / Cross St:
Storms Road & Future Lane
Status:
Active
Tax Year:
2025
Property Type:
Vacant Land
Property Type:
Commercial
Property Sub Category:
Vacant land
Additional
Details
Kitchen
Pricing
History
Taxes:
$1,335
Last Status
New,
Original Price:
$0
Sold Price:
$0
Addl Monthly Fees:
$0
Address
Country:
US
State:
ON
County:
Hastings
City:
Stirling-Rawdon
Neighbourhood:
Stirling-Rawdon
Zipcode:
K0K 2M0
Neighborhood:
794180
Community:
Rawdon Ward
Street:
FUTURE
Street Number:
LOT 4
Street Suffix:
Lane
Longitude:
W78° 25' 26''
Latitude:
N44° 27' 37.1''
Brokerage
Possession Remarks:
Immediate
Listing Entry Date:
06/01/2026 14:32:45
Office Name:
ROYAL LEPAGE PROALLIANCE REALTY
Agent
Info
No Image
rick@istreetrealty.ca